Nuestro Blog

Diabetes en perros - Descubre sus síntomas, causas y tratamiento

Nuestro Blog

Diabetes en perros - Descubre sus síntomas, causas y tratamiento

por Lobo Azul en sept 15 2022
Al igual que pasa con las personas, los perros llegan a desarrollar diabetes por diferentes circunstancias, siendo una enfermedad que puede destrozar el organismo del animal si no se trata a tiempo. En la diabetes en perros lo peor no son los síntomas inmediatos, que ya suelen ser muy malos de por sí, sino que a largo plazo afecta a una gran cantidad de órganos hasta hacer que muchos de ellos dejen de funcionar correctamente. ¿Qué es la diabetes? Para estabilizar los niveles de glucosa en sangre, el organismo de los perros (y el nuestro) genera una hormona que se llama insulina, de lo cual se encarga el páncreas. De esa manera se establecen los niveles correctos y la glucosa, que es la que aporta energía, no da problemas, pero eso es diferente cuando aparece la diabetes. Esta es una enfermedad crónica, que no se va a curar mientras el perro viva, y que provoca que o bien el páncreas no sea capaz de producir bastante insulina o que el organismo de nuestro mejor amigo no la emplee como debe. Entre otros problemas, a corto plazo hace que los niveles de glucosa suban y bajen sin control, pudiendo llegar a matar al animal tanto por un exceso como por un defecto de esta hormona, pues ambos escenarios son igual de graves, quizá un poco peor la bajada brusca. Tipos de diabetes Con el fin de complicar aún más las cosas no solo hay un tipo de diabetes en perros, sino que el veterinario se tiene que enfrentar a dos posibilidades y hacer pruebas para saber cuál de ellas padece nuestro perro, ya que el tratamiento es distinto. Diabetes Tipo I Es la más común y la que es más pesada a la hora de tratarse, puesto que por norma general el animal se convierte en dependiente de la insulina inyectada. Su cuerpo no es capaz de producir esta hormona, así que los niveles de glucosa en su sangre se disparan. Diabetes Tipo II Menos usual y con un tratamiento sencillo, pues no es necesario inyectar a nuestro mejor amigo insulina a diario. Se suele originar debido a que el cuerpo no usa de manera adecuada la insulina que el páncreas produce, o porque genera muy poca para que los niveles de glucosa sean estables. Síntomas de la diabetes en tu perro Los síntomas de la diabetes se pueden confundir con otras enfermedades, o a veces ni siquiera pensamos que le pase algo extraño, sino que atraviesa una época de menor actividad o en la que tiene más hambre. Hay que estar siempre atento a los cambios de comportamiento, pues esa falta de energía repentina puede no obedecer al calor, sino a que sus niveles de azúcar en sangre son muy altos o bajos. Uno de los síntomas más claros es la pérdida de peso. Poco a poco advertimos que pese a que come más, el perro adelgaza, lo que nos debe poner en alerta, del mismo modo que cuando notamos que bebe más agua y orina a menudo. Podemos pensar que es normal que ahora orine más, pero lo que no es natural es que beba tanta agua de repente, llegando a hacerse pis dentro de casa cuando anteriormente jamás lo había hecho, o no al menos desde que era un cachorro. También es posible notar que al animal le falta energía, que deja de jugar o duerme más de la cuenta, lo cual se debe a las alteraciones bruscas en los niveles de glucosa. Casi siempre estos cambios en la actitud del perro aparecen combinados, por lo que es más sencillo alarmarse, aunque uno solo de ellos ya nos debe hacer pedir cita con nuestro veterinario de confianza enseguida. Causas de la diabetes en perros La diabetes suele tener una serie de causas, o al menos hay algunas que favorecen la aparición, la cual en ocasiones se puede evitar o retrasar todo lo posible. Factores genéticos Existen razas como el caniche, el schnauzer o el teckel que son más propensas a padecer esta enfermedad, aunque también la tienen perros de otras razas e incluso mestizos si alguno de sus antepasados la han padecido. La edad Con el paso de los años el organismo comienza a funcionar peor, como si se fatigase, y para nuestra desgracia eso ocurre pronto en los perros, que a partir de los siete años ya entran en lo que nosotros llamamos la tercera edad. Por eso, es después de los siete años cuando se producen la mayoría de los casos, que son muy extraños en los cachorros y en los perros más jóvenes. Así, conforme avanza la edad del perro, la posibilidad de tener diabetes aumenta, aunque no debemos asustarnos porque no se trata de una enfermedad demasiado común. Obesidad Al principio decíamos que en algunos casos la diabetes en perros se puede prevenir y esta es la situación en la que podemos intervenir con el fin de que la diabetes no aparezca. De hecho, la principal causa de la diabetes en las mascotas es la obesidad, por lo que si nuestro perro está pasado de kilos, debemos tomar cartas en el asunto cuanto antes, siempre de acuerdo con el veterinario. Hay piensos específicos que ayudan a los perros a perder peso sin pasar hambre, añadiendo más fibra para que se sacien antes y el ejercicio moderado ayuda a acelerar el proceso. Esperanza de vida de un perro diabético La esperanza de vida de un perro con esta enfermedad depende mucho de cuándo se detecte la misma y de si se pone el tratamiento adecuado. Si se detecta pronto, la esperanza de vida no tiene por qué verse acortada de manera significativa, de forma que un perro diabético vivirá lo mismo que uno que no tenga diabetes recibiendo el tratamiento adecuado. Soluciones o tratamientos Existen varias soluciones que consiguen controlar la diabetes en los perros, y las cuales hay que combinar siempre bajo un estricto seguimiento veterinario que debe ser periódico, puesto que los animales tienen que ser revisados cada poco tiempo. Una de las soluciones pasa por el ejercicio. Este mantiene alejada la obesidad y además consigue que la glucosa se vaya gastando, pues el cuerpo del perro la quema cuando hace deporte. Este ejercicio debe estar adaptado a la raza, edad y peso del animal, pues no podrá hacer el mismo deporte un pastor alemán joven que uno viejo o que un perro como el bulldog inglés. Es muy importante ceñirse a los alimentos que nos diga el veterinario, de manera que se terminó eso de darle lo que nosotros estamos comiendo, como trozos de pan, patatas fritas, etc., y hay que concienciar a la familia con el fin de que haga lo mismo, en especial a los niños. Siempre debemos tener presente que esta enfermedad es crónica, lo que quiere decir que no se cura y que va a acompañar a nuestro perro durante el resto de su vida, así que incluso podemos cambiar algunos hábitos de vida propios, saliendo más a pasear junto a él. Comida específica para perros diabéticos Además de la insulina, una parte fundamental del tratamiento de la diabetes en perros es la alimentación. Tiene que ser muy rica en proteínas, baja en grasas y con poco almidón, y llevar una buena cantidad de fibra, la cual hace que la absorción de la glucosa sea más lenta. Debe tener más cantidad de L-carnitina de lo normal, un aminoácido que estimula al organismo a la hora de producir insulina. Por suerte, esto ha dejado de ser un problema hace años y ahora mismo en el mercado hay varias marcas que ofertan tanto comida húmeda como seca, con la cual no tendremos que preocuparnos por ofrecer a nuestro mejor amigo un alimento adecuado. Es cierto que estos piensos que muchos llaman “de dieta veterinaria” pueden ser un poco más caros que los normales, pero el precio no sube demasiado con respecto a un pienso premium de la mejor calidad. Ahora se puede adquirir de una manera sencilla a través de Internet, y también nos los traerá el veterinario si se lo pedimos, la mejor opción si tenemos tiempo, pues así aprovechamos con el fin de hacerle alguna consulta. Si queremos darle comida hecha por nosotros, hay que preguntar al veterinario, el arroz integral le irá muy bien como base, y también algunas frutas del tipo de la manzana, la cual suele encantar a los perros por su sabor. Medicamentos específicos En el caso de la diabetes de tipo I, la que se da porque el organismo no produce insulina, no queda otro remedio que administrar insulina en forma de inyecciones, con las cuales vamos a evitar las complicaciones de la enfermedad. Será el veterinario el que nos explique cómo hacerlo, de qué manera pinchar y qué dosis hay que poner, siendo muy importante que respetemos la dosis inicial y que aprendamos a ajustarla nosotros dependiendo de los niveles de glucosa en la sangre. Estos niveles los vamos a saber gracias a los controles que haremos en casa, con un medidor de glucosa que funciona poniendo un poco de sangre en una tira reactiva. Aquí es crucial que el medidor sea específico para perros, puesto que la calibración tiene que ser diferente a la de los aparatos de los humanos debido a que la glucosa se concentra más en el plasma en los perros. Habrá que llevar a cabo revisiones cada cierto tiempo en el veterinario, para que haga las pruebas necesarias con el fin de hacer un seguimiento de la evolución de la enfermedad. No debe preocuparnos el tener que pinchar a los perros a diario, ya que se dan casos de animales que “buscan” que les pongamos la inyección, pues no tardan en asociar que cuando se la ponemos se encuentran mejor. También hay una serie de suplementos en forma de comprimidos, casi siempre provenientes de plantas, que pueden ayudar a mantener la glucosa más estable, y que serán adecuados en los dos tipos de diabetes en los perros. Hay que hablarlo con el veterinario, pues algunos sí que los usan y otros no querrán, aunque lo cierto es que no perdemos nada por probar durante un tiempo y medir los resultados. Otros artículos de salud que te pueden interesar: Conjuntivitis en perros Rabia en perros El Parvovirus Tos de las perreras Asma en perros Displasia de codo Torsión gástrica Displasia de cadera
Gases en perros: causas, síntomas y tratamiento

Nuestro Blog

Gases en perros: causas, síntomas y tratamiento

por Lobo Azul en feb 25 2022
Los gases en perros son algo más común de lo que imaginas, y aunque existe una gran variedad de causas -algunas totalmente inofensivas y esporádicas-, también puede ser un síntoma de un incidente grave que pudiera estar poniendo en riesgo su vida. A continuación, comentamos algunas consideraciones básicas que debes saber acerca de este problema. Causas de gases en perros Los motivos pueden ser varios, el más común y elemental es que están ingiriendo aire al comer, lo cual suele pasar en los perros jóvenes, quienes comen con gran ímpetu. No obstante, también algunos perros braquicéfalos como el boxer, el chow chow, y otros por el estilo, debido a la forma de su mandíbula, no mastican bien, lo que también les genera mucho aire y en consecuencia flatulencias, por lo que en estos casos podría llegar a estar dentro del rango de lo normal. Aunque la alimentación, también puede ser un factor que produzca gases en perros, más aún cuando le estás ofreciendo demasiadas legumbres, pues este tipo de alimentos son de lento tránsito en el sistema digestivo, favoreciendo así las flatulencias. Asimismo los carbohidratos y la fibra llegan a ser factores para alentar este problema, por lo que debes poner atención en el tipo de comida que le das, y también en la calidad del pienso. Otros factores como la edad, también pueden ser otra causa relativamente natural de gases en perros, pues a través de afecciones como las dificultades respiratorias, se llegan a incentivar este tipo de molestias. Por otro lado, enfermedades más serias como el edema pulmonar y algunos padecimientos cardíacos pueden ser la causa de las flatulencias. Una obstrucción estomacal, puede ser una complicación que derive en una torsión de estómago, lo que puede llegar a ser mortal, y mantener presentes los siguientes síntomas, que puedes ver a continuación. Síntomas de los gases en perros Todo mamífero es propenso a tener gases, aunque conocer bien a tu perro, te ayudará a distinguir cuando está pasando por un periodo normal, o si las cosas comienzan a tornarse más graves, al presentarse también otro tipo de síntomas. Cuando son ya varios días que tu perro está teniendo gases constantes, es ya un indicio de que algo no está bien, aunque de igual forma la intensidad del olor puede ser una llamada de alerta, no obstante, la ausencia de olores intensos tampoco es motivo para descartar algún padecimiento, ya que en ocasiones se producen de forma sigilosa. Ante una sospecha de este tipo, es importante tratar de poner atención en los ruidos de su estómago, pues gruñidos en los intestinos pueden comenzar a darnos una idea de donde podría estar el problema. Si se muestra decaído o apático, y sin apetito, puede ser indicio de que hay algo más que está generando el problema; y si notas que acerca el abdomen al suelo, llegando a adoptar posturas inusuales, será indicio de que también está sufriendo dolor en su estómago, por lo que será importante poner atención por si presenta vómitos o diarrea. De igual forma, si notas que tu perro además está teniendo problemas para absorber los alimentos, te recomendamos que busques atención médica inmediata, pues en este caso pudiera haber algún tipo de obstrucción. Tratamiento para gases en perros Si se trata de algo ligero, y reconoces factores como un cambio repentino en su dieta, puedes tener tu mismo la solución, la cual podría ser regresar a su dieta normal o bien optar por piensos para perros de alta calidad, algunas alternativas premium, como las que ofrecemos en Lobo Azul destacan precisamente por su buena digestibilidad. Pero, si sospechas que puede haber un problema mayor, la consulta con tu veterinario te servirá para salir de dudas. Puede ser que un examen básico aporte elementos suficientes, pero dependiendo de los síntomas, también podría recurrir a pruebas de sangre, ecografías, radiografías y/o una muestra de heces para poder aclarar con mayor precisión la causa y definir un tratamiento médico adecuado. En ocasiones, con probióticos para caninos se puede contribuir a solventar el problema, aunque también tratamientos a partir de enzimas digestivas o carbón activado, suelen ser la elección ante alguna afección gastrointestinal. Para los gases en perros también será importante la activación física. En este sentido, resulta de utilidad tratar de hacer diversos ejercicios con tu mascota, sólo recuerda que no debes darle de comer ni antes ni después de ejercitarse, lo que de igual forma es una recomendación preventiva para ayudarlo a evitar este tipo de incidentes. Con un poco de atención y las medidas oportunas, verás que es posible minimizar las flatulencias, o resolver el problema que lo esté causando. Puede que te interese leer: Asma en perros - Causas, síntomas y tratamientos Hipo en perros: Causas y soluciones Torsión gástrica en perros ¿Qué verduras pueden comer los perros? Cómo desparasitar a un cachorro Dieta blanda para perros con diarrea.    
Vacunas para perros ¿Cuáles son obligatorias y cuándo ponerlas?

Nuestro Blog

Vacunas para perros ¿Cuáles son obligatorias y cuándo ponerlas?

por Lobo Azul en feb 19 2022
Todos queremos que cuando le abramos la puerta a un nuevo miembro en la familia este pueda ser siempre feliz y sano, y si es posible que dure por siempre. Normalmente, deseamos darles una buena vida, muy longeva y saludable, a esa mascota con la que planeamos dar y recibir amor. Para cumplir con ello hay varias cosas que debemos hacer; en primer lugar debemos darle las vacunas para perros, cumpliendo con las fechas pautadas; en segundo lugar, alimentarles correctamente según el tipo de mascota que sea y, finalmente, debemos asegurarnos de darle su cuota de ejercicio diario que le permitirá siempre estar sano. Esto, claro, sin dejar de lado el cariño y amor que necesitan. Como ves, todo esto parece ser sencillo, pero ciertamente es todo un compromiso. Uno de los principales y primeros problemas que se nos presentan es que muchas veces, por falta de conocimiento, no logramos cumplir con estos aspectos.  En cuanto a las vacunas, este aspecto no debe ser descuidado, pues nos generará problemas mayores que incluso pueden hacer sufrir al animal. En ocasiones nuestro descuido puede deberse a falta de tiempo, pues nuestras ocupaciones cotidianas nos distraen de seguir un plan o calendario de vacunas, pudiendo ocasionar que lo saltemos. El compromiso con nuestras mascotas merece mayor interés y tiempo a dedicar. Además de esto, muchas veces no sabemos realmente cuáles son las funciones que las vacunas poseen en la salud del perro y que tan grave puede ser el no ponerlas en el tiempo adecuado o aplazarlas. En esta oportunidad se hablará de ello, de las vacunas, de ese primer paso que debemos dar por nuestra mascota, y qué tan importante es para que nuestro perro sea sano y feliz por mucho tiempo. El momento de conocer a nuestro perro Ya sea porque vamos a adquirirlo con algún criador profesional, vamos a comprarlo en alguna tienda o de hecho vamos a adoptarlo en un refugio, es muy útil y necesario que nos otorguen la ficha de vacunación del perro. Esto facilitará enormemente el continuar con el proceso de vacunación en pro de la buena salud de nuestra mascota. No importa si el perro aún es cachorro o ya está más crecido, siempre existirán diversas vacunas para perros que necesitará tener, incluso algunas pueden ser de tal importancia que pueden frenar el proceso de adopción o compra hasta no haberse aplicado en el perro. Y aunque no lo creas, dependiendo del perro y la raza que este posea, incluso puede ser la diferencia entre la vida o la muerte en un cachorro. Así que, siempre es importante exigir la ficha de vacunación del perro sea cual sea el modo en que este llegue a nuestras vidas.  Los cachorros y las vacunas Mucho se ha hablado sobre la importancia de las vacunas para perros y cómo estas pueden afectar la salud del perro. Es a los cachorros es a quienes le toca lidiar con este proceso, desde sus primeras semanas, ellos deben empezar usualmente a recibirlas. Son las madres del cachorro quienes le brindan las primeras defensas inmunológicas, ellas a través de la lactancia, otorgan a sus hijos anticuerpos que empiezan a trabajar incluso a las primeras 24 horas de nacido. Lamentablemente, estas defensas solo duran poco tiempo y a medida que el cachorro va acostumbrándose al ambiente exterior van desapareciendo de su sistema poco a poco. A parte de las primeras defensas inmunológicas, la madre también le proporciona algunos parásitos al cachorro a través de la lactancia y la placenta, es debido a ello que se recomienda que antes de empezar el proceso de vacunación se desparasite al cachorro. Luego de las 6 semanas de nacido, los cachorros empiezan a recibir las vacunas que le ayudarán a enfrentar al mundo. Esta cercanía a su nacimiento, se debe a que un cachorro no debería estar en contacto con otros perros externos a su camada antes de la primera vacunación, ya que esto puede hacerlo extremadamente sensible a cualquier bacteria o infección que un tercero pudiese portar. También hay que tener en cuenta cuándo le salen los dientes a un cachorro pera poder brindarle el mejor cuidado posible. Tipos de vacunas para perros Hay distintos tipos de vacunas para perros las cuales van variando dependiendo de la edad del cachorro y la función que las mismas tienen en su salud y bienestar. Cada una de ellas representan una carencia en el sistema inmunológico del can y algunas deben ser otorgadas en diferentes momentos de la vida del perro. Algunas deberán ser aplicadas mensual o anualmente y otras, por el contrario, son una cuestión de una vez en la vida. Todo ello dependerá de su función y composición química.  Vacunas obligatorias para perros Las vacunas obligatorias, como bien su nombre lo indica, son aquellas que son vitales en la vida del perro. Estas son suministradas mientras el perro es cachorro, y suelen empezar a partir de las 6 semanas de nacido. Las vacunas para perros que integran este grupo son las siguientes: Parvovirus: El parvovirus, es una vacuna que ayuda a prevenir la Parvovirosis Canina, una enfermedad que afecta los intestinos, ocasionando diarreas con presencia de sangre en ellas. Está vacuna suele ser una de las primeras y principales aplicadas a los cachorros. Moquillo: En cuanto al Moquillo, es una enfermedad que incluso puede afectar a los gatos, es altamente peligrosa ya que afecta el sistema digestivo, respiratorio y nervioso del cachorro. Es una enfermedad contagiosa, y sólo pueden ser prevenidas con sus respectivas vacunas, por lo que, al igual que el Parvovirus, también suele dársele al cachorro en sus primeras semanas. Rabia: Anteriormente el virus de la rabia se encontraba muy arraigado a nivel mundial, aunque esto ha cambiado, aún existen varias regiones en donde se encuentra todavía activo, por lo que es importante prevenir. El virus de la rabia se contagia a través de la saliva, la cual puede entrar en el sistema sanguíneo del perro a través de una mordida, y puede afectar su sistema nervioso. Esta no se recomienda aplicarla mientras el perro sea cachorro, ya que no se garantiza la absorción de sus componentes correctamente. Vacunas opcionales para perros Así como hay vacunas obligatorias, también están las que son más bien una opción, dado a que se podría decir, van de acuerdo a las recomendaciones del veterinario según lo que él considere que es necesario para el perro según la raza y el lugar en que se desenvuelve. Las vacunas opcionales, comúnmente son administradas de forma anual, y existe la posibilidad de que estas se implementen a través de la modalidad de cócteles o polivalentes, que consisten en diversas vacunas para perros mezcladas en una, las cuales sirven para prevenir la aparición de diversas enfermedades como: Leptoespirosis, Hepatitis Canina, ParaInfluenza, Lyme, Tos De Las Perreras o Coronavirus.  Vacunas Polivalentes Existen diversos tipos de vacunas polivalentes, estas son clasificadas de acuerdo a sus funciones principales o componentes. Entre los más reconocidos están los siguientes: Pentavalente: Contiene entre sus componentes la vacuna del moquillo, hepatitis, tos de las perreras, parvovirus y parainfluenza. Hexavalente: Contiene todas las anteriores, más la vacuna para la leptosipirosis y otra cepa o población de parvovirus. Octovalente: Posee las anteriores vacunas en sus componentes más, otras cepas de leptosipirosis, parvovirus y parainfluenza, y además la vacuna para el coronavirus. Esta clase de vacunas deben ser administradas al perro cuando este se encuentre más grande y fuerte, alrededor de su primer año. Otros tipos de vacunas para perro Hay actualmente algunas vacunas para perros, que, si bien no son estrictamente necesarias o comprometan en si su salud, igualmente facilitan en gran medida la salud y estilo de vida del perro. Estas pueden ser las siguientes: Bardotella: Se utilizan para prevenir una enfermedad del mismo nombre, que ataca el sistema respiratorio. Posee varios efectos secundarios y por ello ha causado mucho debate entre las comunidades de veterinarios. Contra Garrapatas y Pulgas: este tipo de vacunas para perros es de hecho, muy controvertida, muchos veterinarios insisten en que no es realmente una vacuna, sino un medicamento. Aun así puede ser de gran importancia, y se debe colocar anualmente dependiendo de su calidad. Plan de Vacunación Promedio Como ya sabemos, a las pocas semanas de nacido es cuando debemos empezar a administrar las primeras vacunas obligatorias, con el fin de cerciorarnos de que el cachorro pueda crear los respectivos anticuerpos.  La administración de esas vacunas suele tener un calendario promedio, el cual puede varían dependiendo de alguna consideración tomada por el veterinario. Las vacunas para perros son para fomentar y garantizar la salud de quien se le aplique, ya sea animal o humano. Aun así, estas no dejan de ser compuestos químicos que entran en el flujo sanguíneo, por lo que en algunas oportunidades se pueden presentar una que otra consecuencia, que se deriva, en su mayoría, de la reacción del organismo. Efectos secundarios de las vacunas para perro En el caso de surgir algún efecto adverso luego de aplicar una vacuna en un can, estos normalmente son leves, aunque van dependiendo de la edad del perro. Mientras más cachorro sea este, mayor es el porcentaje que tienen estos de aparecer. De todas maneras, estos efectos secundarios, en especial en las vacunas obligatorias, no suelen ser muy graves; esto se debe a que antes de aplicar alguna vacuna en el perro, las mismas han sido probadas y testeadas previamente. Por lo que mayormente, estas son realmente buenas para el can. De igual forma, acá están algunas de los más frecuentes efectos secundarios: Apatía: Es normal que el perro se aleje un poco de su amo en una reacción de reproche por haberlo hecho pasar por un gran estrés. Adormecimiento: Puede que el perro presente algún tipo de cansancio e incluso necesite dormir un poco. Trastornos gastrointestinales: Algunas vacunas pueden producir en los perros dolor de estómago, diarreas e incluso vómito, lo que puede influir en su apetito. Problemas respiratorios: En algunas ocasiones, la colocación de alguna vacuna puede causar tos, estornudos o secreción nasal. De hecho, puede ser relativamente común que se le presente algún cuadro gripal. Inflamación: Puede que después de aplicarse la vacuna se forme algún tipo de bulto alrededor de donde se aplicó la vacuna, esto se debe a que el líquido aún no se ha esparcido. Este puede ser un efecto bastante común. Evita que se rasque para prevenir también otros trastornos que puedan surgir como la aparición de caspa por estrés o dermatitis. Afalaxía: Este quizás es uno de los efectos más graves que pueden surgir al vacunar un perro y consiste en un cúmulo de aflicciones que varían entre hinchazón de garganta u hocico que le impide poder respirar normalmente, pulso débil, enrojecimiento de la piel, diarrea o vómitos. En este caso, debemos ser muy cuidadosos y llevarle al veterinario a la mayor brevedad. Precios promedios de las vacunas para perros En cuanto a costes, lo que un dueño de perro gasta en vacunas para canes va dependiendo de las dosis suministradas, las cuales a su vez van de acuerdo al peso y volumen del perro. A medida que el perro sea más grande, la dosis es mayor. Por eso es necesario que antes de realizar la administración de vacunas en el perro, este sea consultado por el veterinario, de esta forma se evitan inconvenientes. Puedes consultar a tu veterinario si las vacunas afectan diferente a otras razas, como, por ejemplo el ratonero andaluz o a la raza alano español. Si nos adentramos en los precios de las vacunas, es necesario indicar que cada precio varía de acuerdo al país o región, además de la calidad o marca de la vacuna y, por supuesto, del tipo de vacuna que sea. En el caso de España, los precios oscilan entre: Vacuna Heptavalente: Alrededor de 40 y 50 euros. Vacuna Trivalente: Poseen un estimado entre 30 y 40 euros. Vacuna de la Rabia: Suelen encontrarse entre los 20 y 30 euros. Otros artículos sobre salud animal que te pueden interesar: Esterilización y castración en perros Perros con ansiedad Leishmaniasis en perros Tos de las perreras Artrosis en perros
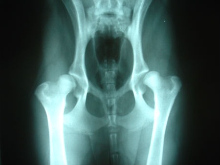
Displasia de cadera en perros: síntomas, tratamiento y razas más afectadas

Nuestro Blog

Displasia de cadera en perros: síntomas, tratamiento y razas más afectadas

por Lobo Azul en ene 19 2022
Aunque existen enfermedades que se pueden prevenir según la calidad de vida de nuestra mascota, hay una cantidad de patologías que aparecen por factores difíciles de controlar, como por ejemplo, la genética. Una de las más mencionadas en este caso es la displasia de cadera. Una condición muy común en perros de diferentes razas que puede afectar la movilidad del canino, hasta el punto de limitar completamente su andar, debido al dolor que progresivamente se va agudizando. Pero ¿qué es?, ¿cómo identificarla?, ¿qué debemos hacer ante esta enfermedad? Todos estos interrogantes son frecuentes, pues si bien es muy común en los perros, existen dueños que aún no la conocen. Por esta razón, hemos desarrollado un artículo dedicado en profundizar a la displasia de cadera. No dejes de leerlo, te ayudará a conocer en detalle cada aspecto de esta afección. ¿Qué es? Al igual que el cuerpo humano, el sistema óseo de los perros se encuentra unido por una especie de «engranajes», lo que permite el funcionamiento y movilidad de cada articulación. Si estos engranajes no encajan a la perfección en alguna de sus cavidades, puede presentarse una alteración en el canino, entre las más comunes se encuentra la displasia de cadera y la displasia de codo. Este tipo se trata de una malformación en el área de la cadera, también conocida como zona coxofemoral, la cual se presenta cuando la cabeza del fémur (cuya forma es una bola) no encaja debidamente en la cavidad cóncava que le corresponde (denominada acetábulo) y que se encuentra dentro del hueso pélvico. Este desajuste produce que el desarrollo de la articulación no se lleve a cabo de forma adecuada. Esto sucede dado que la cabeza del fémur, al no estar recubierta, no permanece en la mencionada cavidad, sino que, por el contrario, se mueve desordenadamente, lo que a la larga produce debilidad de los tejidos musculoesqueléticos del perro, acompañada de dolor e inflamación. Hablamos de una enfermedad degenerativa. Es decir, que no se envidencia claramente en las primeras semanas de vida del canino, sino que se va notando con su crecimiento y desarrollo, pues el desgaste de los tejidos con el movimiento inadecuado de la cabeza del fémur, hace más visible la patología progresivamente. Por lo que será hasta los cuatro o seis meses, y en algunos casos en la edad adulta, cuando se empiecen a notar indicios de esta enfermedad. ¿Cuáles son las razas más afectadas por la displasia de cadera? Esta patología afecta con mayor frecuencia a perros grandes y de gran peso, aún más cuando no han recibido cuidados adecuados como el suministro necesario de calcio, una alimentación equilibrada y una rutina de ejercicios favorable para reforzar sus articulaciones. No obstante, en ciertos casos, esta enfermedad puede aparecer en perros de razas pequeñas, pero con menos incidencia que en los señalados. A continuación, veamos algunas de las razas más propensas a ser afectadas por la displasia de cadera: Pastor alemán Pastor Belga San Bernardo Gran danés Mastín del Pirineo Mastín napolitano Bulldog francés Bulldog inglés Estas razas son las más asociadas a la enfermedad, debido no solo a su tamaño y peso, sino también a otros factores que les hacen más propensos a padecerla. El conocimiento acerca de la raza y de cómo prevenir o disminuir los factores de riesgo asociados a esta condición puede ayudar a brindar a nuestras mascotas los cuidados adecuados para su bienestar. Causas La displasia de cadera puede verse como una enfermedad multicausal, debido a que cuenta con diferentes factores de riesgo (tanto biológicos como ambientales) que pueden incrementar la posibilidad de su aparición. Veamos a continuación los factores de riesgo asociados a ella: Ambientales Dentro de los factores ambientales, se pueden ubicar aspectos relacionados con la calidad de vida que las personas ofrezcan a sus mascotas, debido a que, si el perro recibe los cuidados necesarios, disminuirá la posibilidad de padecer esta afección. Podemos mencionar como factores ambientales los siguientes: Mala alimentación Sin duda alguna la alimentación inadecuada es uno de los factores más relacionados a la displasia de cadera. Acompañado a una deficiencia de calcio y minerales en la dieta canina. Que un perro no reciba una adecuada nutrición puede también desencadenar obesidad, aspecto que influye notoriamente en la aparición de la enfermedad. Sendentarismo Aunque parezca insignificante, la práctica de ejercicios en la vida de un perro es esencial. Aún más si se trata de razas grandes y de mucho peso, pues esto le ayudará a mantenerse en forma y evitar aspectos tan importantes como la obesidad. El sedentarismo para el canino puede ser realmente perjudicial, pues además de ganar peso, puede atrofiar sus articulaciones e incrementar las posibilidades de que aparezca la displasia. Biológicos El factor considerado el causante más crítico dentro de la displasia de cadera es el hereditario. En estos casos, está relacionada de forma más frecuente con perros grandes y pesados como los de la lista anterior. Sin embargo, en caninos de menor peso y talla, como Spaniel o Pug, es normal que aparezca esta enfermedad en algunas ocasiones. De cualquier forma, aunque el factor genético siempre sea una constante y difícil de prevenir, los factores ambientales suelen ser controlables en gran medida y permitirán que el perro goce de buena calidad de vida y salud, si se le dan los cuidados adecuados. Síntomas de la displasia de cadera Debido a que se trata de una enfermedad progresiva y degenerativa, los síntomas no aparecen de una sola vez, sino que se van agudizando conforme el perro crece. Siendo también intermitentes, es decir, que posiblemente no siempre estarán presentes. Veamos qué manifestaciones pueden presentar los caninos con esta enfermedad: Rechazo a realizar actividades físicas como subir escaleras Tendencia a la inactividad Dolor progresivamente agudo Dificultad para desplazarse Cojera Rigidez en la parte trasera Inestabilidad Tristeza Apatía a jugar o correr Espalda curvada Limitación para levantarse Aumento de los músculos delanteros Estos son los síntomas más frecuentes de la displasia de cadera en perros. A medida que va avanzando la enfermedad, factores como el dolor pueden aumentar, al igual que la dificultad para desplazarse, hasta el punto de que el perro puede perder totalmente la movilidad debido a las molestias que esto le ocasiona. Tratamientos Propiamente, esta es una enfermedad que no tiene cura. Sin embargo, pueden aplicarse en el perro una especie de tratamientos que le ayuden a mejorar su calidad de vida, a minimizar los episodios de dolor y a sentirse un poco más aliviado. Estos tratamientos pueden ser quirúrgicos o no quirúrgicos, ambos dependerán en gran medida del avance de la enfermedad. Considerando también otros factores, desde el tamaño y edad del perro, hasta el coste que pueda tener el tratamiento. A continuación exponemos en qué consisten cada uno de estos tratamientos: Quirúrgicos La cirugía para intentar corregir la displasia de cadera se define como triple osteotomía pélvica. En este caso, la cabeza del fémur es enlazada a la cavidad correspondiente de manera artificial mediante placas que le ayudan a mantenerse en su lugar. Esta cirugía se realiza, en la mayoría de los casos, cuando el tratamiento no quirúrgico ya no hace el mismo efecto. No obstante, presenta grandes riesgos, por lo que es necesario contar con la orientación del veterinario en todo momento para decidir si debemos realizarla o no. No quirúrgicos El tratamiento médico no quirúrgico está más inclinado a la administración de medicinas que ayuden al perro a aliviar el dolor y la incomodidad causada por la enfermedad. Antiinflamatorios y analgésicos son los que en mayor medida se suministran para este fin. Por otro lado, estos se complementan con sesiones de hidroterapia y fisioterapia que contribuyen a fortalecer los músculos y aliviar el dolor. Los tratamientos no quirúrgicos son aplicados cuando la displasia se encuentra en su fase más leve. De esta manera se desacelera su progresión aunque no se detenga. Aunque la displasia de cadera se trata de una enfermedad no curable y difícil de prevenir por su factor genético, existe la posibilidad de ofrecer a nuestras mascotas una buena calidad de vida, atención y cuidados que le mantengan saludable y alejen en la medida de lo posible esta condición. Otros artículos sobre salud canina que te pueden interesar: Tos de las perreras Anemia canina Plantas tóxicas para perros Cómo tratar el resfriado de mi perro Alergia alimentaria en perros Caspa en perros
Enfermedades que tienen en común mascotas y humanos

Nuestro Blog

Enfermedades que tienen en común mascotas y humanos

por Lobo Azul en nov 23 2021
  Además del afecto y la compañía, los humanos pueden compartir otras cosas con sus mascotas, entre ellas algunas enfermedades. Pues sí, existen diferentes enfermedades que, aunque parezca increíble, pueden afectar la salud tanto del humano como la de un perro o gato. Aunque las manifestaciones de algunas de estas patologías puedan ser diferente en perros que en humanos, la afección es la misma, y su presencia podría poner en riesgo la vida de las mascotas. ¿Cuáles son estas enfermedades que los perros y los humanos pueden compartir? ¿Cómo identificarlas en nuestra mascota? A continuación, desarrollamos en este artículo algunas de las patologías más comunes que pueden compartir los humanos con sus mascotas. Y además presentaremos algunos síntomas que permitirán identificarlas a tiempo. Diabetes Esta es una de las patologías más comunes entre los humanos y sus mascotas. Específicamente, en animales como perros y gatos, la aparición de Diabetes tipo 1 o 2 se está haciendo cada vez más frecuente. En los humanos, la aparición de esta enfermedad está causada por sedentarismo, mala alimentación o por razones genéticas. En el caso de los animales, las causas no suelen variar, y la diabetes está ligada a los mismos factores de riesgo. La alimentación inadecuada de las mascotas, la ausencia de ejercicio o caminatas y hasta causas hereditarias, pueden originar en nuestro perro la aparición de Diabetes tipo 1, que es la más frecuente en estos animales. ¿Cómo identificar la Diabetes en un perro? Los síntomas de esta enfermedad en nuestras mascotas son muy precisos. Una notable pérdida de peso es la primera evidencia de que algo anda mal. Si, además, esto va acompañado de una excesiva necesidad de ingerir agua y de orinar frecuentemente, es muy probable que la mascota esté siendo afectada por algún tipo de diabetes. Acudir de forma inmediata al veterinario si se observan algunas de estas irregularidades es lo más razonable para determinar si se trata o no de esta patología. Problemas de Tiroides Si bien puede presentar con diferente frecuencia en cada animal. La presencia de hipertiroidismo en los gatos e hipotiroidismo en los perros es bastante común. Las causas de esta enfermedad en animales no se ha determinado con claridad, sin embargo, suele estar muy asociada a razones hereditarias, en gran medida. ¿Cómo identificar un problema de Tiroides? Cuando se trata de animales muy activos que son afectados por esta enfermedad, se identifica con la clara disminución de energía por parte del animal. Se observa a nuestro perro cansado, lento y con tendencia a subir de peso constantemente. Si se observan estos síntomas, pueden señalar la existencia de que el perro se encuentre padeciendo un problema de Tiroides y es recomendable que lo revise un veterinario para determinar si se trata de ello. Epilepsia Los episodios en los que presentan convulsiones frecuentes, tanto en humanos como en animales, son signos que identifican la Epilepsia. Esta enfermedad afecta tanto a humanos como a sus mascotas de forma considerable. Una afección neurológica, o razones genéticas, son los motivos más comunes por los cuales se manifiesta esta enfermedad. ¿Cómo reconocer la epilepsia? La detección de la epilepsia en animales no suele ser tan simple. Por lo general, la enfermedad se descubre ante la presencia de una convulsión. Algunos veterinarios recomiendan la alimentación canina rica en ácidos grasos para su disminución y hasta prevención. En otros casos, esta condición es tratada con fármacos, aunque no siempre son efectivos. En cualquier caso, será el veterinario quien se encargue de indicar la mejor forma de tratar esta patología. Hipertensión pulmonar Otra enfermedad común que comparten los humanos y las mascotas es la hipertensión pulmonar. Muy frecuente sobre todo en los perros. Las causas de esta patología pueden ser diversas, por lo que determinar una en específico resulta un poco complicado. Aunque parezca poco usual, el tratamiento que se proporciona a las mascotas con esta afección es Viagra. Pese a que en los humanos es utilizada con fines muy distintos, en los canes se usa para disminuir la presión elevada en los pulmones. ¿Cómo identificarla? El colapso del perro o la falta de aire son la forma más directa de descubrir esta enfermedad. Si notas la presencia de alguno de estos síntomas, lo ideal es consultar con el veterinario lo antes posible. Problemas de corazón Las cardiopatías son otra enfermedad muy frecuente tanto en humanos como en mascotas. Arritmia y hasta ataques del corazón pueden afectar el músculo central de nuestros animales, así como el nuestro. La alimentación inadecuada, el sedentarismo y causas hereditarias, son los principales factores que intervienen en la salud de los humanos y mascotas para mantener sano su corazón. Los perros que suelen ser de comportamiento nervioso, son más propenso a sufrir esta enfermedad. ¿Cómo identificarla? El nerviosismo y la debilidad son algunas de las formas de identificar esta condición. Sin embargo, es muy común que un ataque al corazón llegue de forma inesperada. Mantener control veterinario es una manera de prevenir esta patología. Obesidad Se trata de una condición muy común tanto en las personas como en los animales. En ambos casos, la causa de la enfermedad puede estar asociada a una alimentación inadecuada o desenfrenada. Esta patología se inclina más hacia el estilo de vida y nutrición que tenga el individuo, y lo mismo sucede con los animales. ¿Cómo identificar la obesidad? La forma de identificar la obesidad es muy sencilla. Un aumento de peso progresivo y que provoque dificultad para moverse, desánimo o apatía por parte del perro al realizar actividades físicas, es lo más evidente. Mantener una nutrición equilibrada, combinada con ejercicios o caminatas largas, harán que la mascota evite esta patología. Puedes leer también nuestros consejos para ayudar a nuestro perro a bajar de peso. Para resumir Todas las enfermedades mencionadas pueden presentarse tanto en humanos como en mascotas, comúnmente en perros y gatos. Y en ambos, las causas pueden ser similares. Aunque algunas de las patologías presentadas son genéticas, la mayoría pueden presentarse por alimentación inadecuada o descontrolada, sedentarismo y otras causas que pueden prevenirse. Mantener a tu mascota bien alimentada, realizar ejercicios diariamente y mantener un correcto control con el veterinario, será suficiente para que tu compañero lleve un adecuado estilo de vida y se mantenga saludable. [embed]https://www.youtube.com/watch?v=2YWSV1oJwQI[/embed] Otras curiosidades que te pueden interesar: Las mejores razas de perros para niños Cómo leer las etiquetas de piensos para perros ¿Por qué aúllan los perros? Los perros más famosos de la historia del cine